K&DS FARMS, INC. LAND AUCTION
320 Acre K&DS Farms, Inc.
Franklin County, Nebraska
Land Auction
Monday, November 26, 2012 - 10:00 a.m.
The auction will be conducted in the banquet room of the Black Powder Restaurant/Lounge, West Highway 136, Franklin, Nebraska.
SOLD - BOTH TRACTS TOGETHER $5,600/ACRE
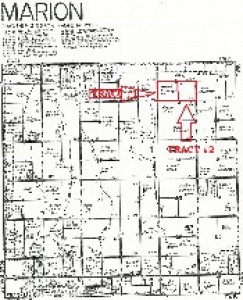
Property Location is from Franklin, Nebraska 1½ mile east on Highway 136, 4½ mile north on Road O and 2 mile east on Road L to the southwest corner of the subject property. Or, from Macon on Highway 10, 2 miles south, 2 miles east on Road M, 1 mile south on Road O and 2 miles east on Road L.
TRACT #1: Southwest Quarter of Section Two (2), Township Two (2) North, Range Fourteen (14) West of the 6th P.M., Franklin County, Nebraska (160 Acres +/-).
Tract #1 is a very level to rolling tract with an 8” irrigation well powered by natural gas. There is an 8 tower Reinke low pressure pivot system that is property of the tenant and is not included in the sale. One pivot corner is irrigated from the well on the adjacent tract #2. This is a very high quality irrigated tract.
TRACT #2: Southeast Quarter of Section Two (2), Township Two (2) North, Range Fourteen (14) West of the 6th P.M., Franklin County, Nebraska (160 Acres +/-).
Tract #2 includes approximately 80 acres of very high quality gravity irrigated land. There is an 8” irrigation well as well as 2 re-use pits allowing for recycling of run-off water. This is a very efficient gravity irrigated farm and shows great potential for pivot irrigation development..
The balance of Tract #2 is in approximately 76 acres of native grassland and features approximately 600’ of fence line feed bunks, 8 feeding corrals, a large all metal equipment storage building and 3 ponds for stock water. There is also a submersible well supplying water to the feeding pens. The balance is in waste land, roads and ditches.
TERMS: A payment equal to 20% of the purchase price will be due the day of the auction. The balance will be due at closing on or before December 21, 2012 by cash, certified funds or a direct wire transfer to the trust account of the closing agent. At closing, the sellers will present a title insurance binder indicating marketable title vested in the names of the sellers. The title insurance costs will be paid equally by the buyer and sellers.
POSSESSION: Purchasers will receive full possession to all lands for the 2013 crop year.
DISCLOSURES & DISCLAIMERS: Ruhter Auction & Realty, Inc. is acting as the agent for the seller. Although great care has been used in the collection of the data herein, the content is not guaranteed. Bidders should complete their own Due Diligence.
All equipment, structures, wells and supporting equipment sells in as is condition and without warranty of any kind.
A PIP will be available for the tract with information such as aerial, topography and soils maps, well data, FSA information, tax information and other pertinent information. Contact us at This email address is being protected from spambots. You need JavaScript enabled to view it. or call the Hastings office (402) 463-8565. The PIP is available in hard copy or in an email PDF form.
Owners: K&DS Farms, Inc.




(402) 463-8565
auctions@ruhterauction.com