LOCKWOOD TRUST HALL CO LAND AUCTION
LOCKWOOD TRUST HALL CO., NE
LAND AUCTION
Thursday, November 29, 2012 - 10:00 A.M.
SOLD - $8,300/ACRE
The auction will be held at the Quality Inn Convention Center located at the I80 Grand Island Interchange on Highway 281.
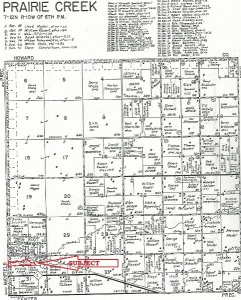
This high quality farm is located 7 miles west of the Highway 281 and Highway 2 intersection in Grand Island and ¼ mile north on 80th Road or from Cairo, Nebraska 6 miles east on Highway 2 and ¼ mile north on 80th Road.
LEGAL DESCRIPTION: Approximately 36.977 acres located in the Northwest Quarter of the Northeast Quarter & part of the Northwest Quarter of Section Thirty-one (31), Township Twelve (12) North, Range Ten (10) West of the 6th P.M., Hall County, Nebraska.
This is a very level gravity irrigated farm bordering the south side of Prairie Creek. There is an 8” well serving the property as well as underground pipe for movement of water to various parts of the farm. This appears to be a high quality small tract of very productive farm ground.
TERMS: A payment equal to 20% of the purchase price will be due the day of the auction. The balance will be due on or before December 21, 2012 by cash, certified funds or a direct wire transfer to the trust account of the closing agent. At closing the sellers will present a title insurance binder indicating Marketable Title vested in the names of the sellers. Title insurance costs will be split equally by the sellers and the purchaser.
DISCLAIMERS AND DECLARATIONS: Although great care has been used in the gathering of the information herein, the contents are not guaranteed. Interested buyers should complete their own Due Diligence. This sale is not contingent upon the ability of the purchaser to secure financing.
Ruhter Auction & Realty is acting as the agent for the seller in this transaction.
A PIP is available with information about this property. To receive your copy, email us at This email address is being protected from spambots. You need JavaScript enabled to view it. or call the office (402) 463-8565
SELLERS: Eugene J. Lockwood Revocable Trust
Kevin Lockwood & Roxanne Yonkey Trustees




(402) 463-8565
auctions@ruhterauction.com