FREDRICKS LAND AUCTION
FREDRICKS TRUSTS 156 ACRE
WEBSTER COUNTY LAND AUCTION
Tuesday, November 27, 2012 - 2:00 pm
Red Cloud Community Building, 142 West 3rd Avenue, Red Cloud, Nebraska
SOLD - $4,400/ACRE
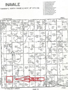
The subject farm is located from Inavale, Nebraska, 3 miles west on Highway 136 and ½ mile north on the west side of the road.
Legal Description: The Northeast Quarter of Section Thirty-one (31), Township Two (2) North, Range Twelve (12) West of the 6th P.M., Webster County, Nebraska
This property is a combination of irrigated farm land, non-irrigated and creek bottom land. The irrigated acres are supplied water from the Bostwick Canal which runs from east to west through the farm.
There are approximately 131.5 acres of irrigated and non-irrigated cropland with 95 acres of certified surface irrigated water allotment. The complete details pertaining to the water rights are available in our PIP.
Terms: A payment equal to 20% of the purchase price will be due the day of the auction. The balance will be due on or before December 27, 2012 by cash, certified funds or a direct wire transfer to the closing agent. At closing the seller will present a Title Insurance binder indicating marketable title vested in the names of the sellers. Cost of title insurance will be paid equally by the buyer and the seller.
Full possession for the 2013 crop year will pass to the purchaser.
Disclosures and Disclaimers: Although great care has been used in assembling the information included in advanced ads, the content can not be guaranteed. Prospective bidders should conduct their own Due Diligence. Any equipment included in this auction are being sold in as-is condition.
Ruhter Auction & Realty Inc. is acting as the seller’s agent in this transaction.
SELLERS: Virgil H. Fredricks Revocable Trust & Midlred E. Fredricks Credit Trust




(402) 463-8565
auctions@ruhterauction.com